HOME小山市大字羽川  新築一戸建住宅 2階 4LDK 2798万円 建物面積104.75m2 土地面積183.1m2 4LDK 2026/03

販売物件情報


  • 販売物件リストを見る
  • 物件情報を印刷する
  • プリンタの設定で「背景を印刷する」と設定しないと「背景画像」が印刷されないことがあります。印刷の際には、必ず「背景を印刷する」設定にしてください。


小山市大字羽川 新築一戸建住宅

物件情報

価格 2,798万円

この物件のお支払い例

頭金0円/ボーナス払い0円

2,798

73,875

セールスポイント

■■■こちらの物件のPOINTは?■■■◆全4区画の分譲地!お買物施設や教育施設など、周辺環境の整った住環境♪羽川小学校まで徒歩約6分!◆階段上の吹抜けが開放的な2階フロア!主寝室にはゆとりある3帖のWICを完備し、季節物の衣類もたっぷり収納できます♪◆ボタンを押すだけでカンタン開施錠の出入りがしやすい玄関♪◆食器洗乾燥機や浴室乾燥機等、快適にお過ごし頂ける室内設備を搭載♪◆駐車スペース2台可能♪



所在地・交通

所在地 小山市大字羽川 
最寄駅 JR東北本線 小金井駅 徒歩分数・距離 36分(約2880m)
最寄バス停 徒歩分数・距離
小学校校区 羽川小 中学校校区 桑中

※学校区は住所から自動判定したものであり、保証できる情報ではございません。
正確な学校区はお問い合わせ下さい。

「人型アイコン」を地図上にドラッグすることで『Google Street View』に切り替わります。

※住所から自動で地図上にピンが表示されておりますので、実際の場所とは異なる場合があります。
場所についてはお問い合わせ下さい。

物件概要

種目 新築一戸建住宅
間取り 4LDK 間取り内訳 洋×4
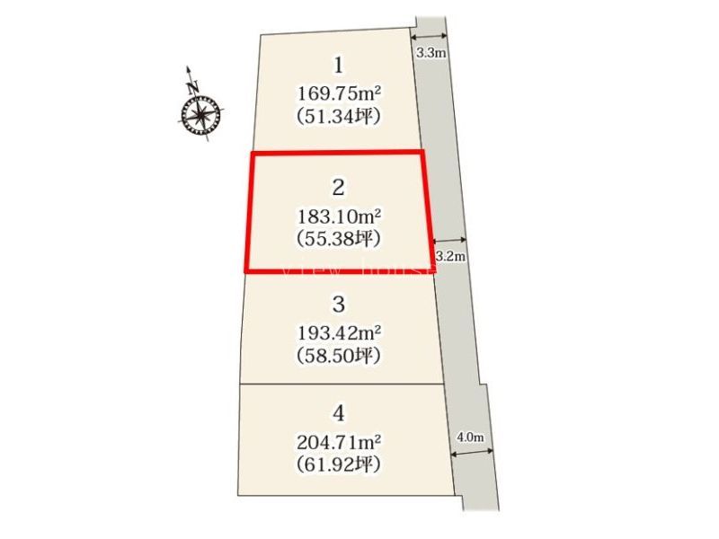
土地面積 183.1㎡ 私道面積
建物面積 104.75㎡ 建物構造規模 木造 2階建
築年月(竣工月) 2026年(令和8年)03月 駐車場 有 0円
駐車場備考
建ぺい率/容積率 60%/160% 都市計画 市街化区域
接道状況 北3.3m 公道    一方道路
地目 宅地
土地権利 所有権 地勢 平坦
用途地域 第一種住居地域
現況 完成 取引態様 媒介

取引条件等

引渡し 相談
引渡し条件

その他

備考 ◆周辺環境◆・セブンイレブン…約950m・とりせん…約580m・ウエルシア薬局…約600m・はねかわ太陽保育園…約550m・朝日病院…約900m・大沼公園…約660m
設備 温水洗浄便座、トイレ2ヶ所、追焚機能、浴室乾燥機、システムキッチン、カウンターキッチン、浄水器、食器洗浄乾燥機、ウォークインクローゼット、洗髪洗面化粧台、電気、プロパンガス、上水道、下水道、複層ガラス、モニタ付インターホン、庭、駐車場2台分
特徴 日当り良好、外断熱
諸条件・相談
情報登録日 2026年2月9日 情報更新予定日 2026年5月21日
物件番号 0-2000173181
この物件を見た人の多くは下記の物件も見ています!
小山市大字喜沢  [2,490万円] [4LDK]
下野市小金井5丁目  [2,990万円] [3LDK]
下野市小金井3丁目  [3,180万円] [5LDK]

1,239

売主様のご要望で一般には公開していない「非公開物件」を会員様だけに限定公開しています。

無料メンバー登録はこちら

ビューハウス店舗だと、ホームページで公開できない物件も6,000件以上の中からご紹介致します!

宇都宮東店へのご来店予約はコチラ!TEL 0120-770-557 受付時間 9時~19時(水曜日定休)

Web予約限定特典付き!!宇都宮東店に予約する(QUOカード3,000円分プレゼント!!)

小山店へのご来店予約はコチラ!TEL 0120-913-157 受付時間 9時~19時(水曜日定休)

Web予約限定特典付き!!小山店に予約する(QUOカード3,000円分プレゼント!!)